Материал: Пат. анатомия боевых поражений_2002

Внимание! Если размещение файла нарушает Ваши авторские права, то обязательно сообщите нам

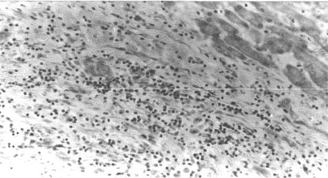
Рис. 22. Диффузно-очаговая лимфоцитарная инфильтрация рубцовой тка- ни в зажившем участке раневого канала в печени, 45-е сутки после ранения (окраска азуром II и эозином, × 150)

Это наиболее длительный период, значение которого выходит за рамки клинических аспектов реконвалесценции и находит непосредственное продол- жение в социальной реадаптации и профессиональной реабилитации раненого. Нередко третий период растягивается на многие годы после клинического вы- здоровления и восстановления боеспособности (трудоспособности) раненого.

Неблагоприятное течение этого периода может проявляться рецидивами раневой инфекции с повторным открытием ран, образованием хронических абсцессов, возникновением хронического остеомиелита и др. В своем после- дующем развитии эти процессы могут постепенно утрачивать непосредствен- ную связь с огнестрельной раной и принимать характер вторых болезней /104/.

1.2.3.4. У с л о в и я з а ж и в л е н и я р а н

Процесс заживления ран зависит от совокупности многих местных и об- щих условий.

Среди местных неблагоприятных факторов выделяют сложные топогра- фо-анатомические особенности раневого канала, нарушение целости нервных стволов и магистральных сосудов, образование обширных гематом, а также развитие раневых инфекций.

В числе наиболее значимых общих неблагоприятных факторов обычно указывают принадлежность к старшим возрастным группам, нарушение пита- ния и физическую усталость, состояние реконвалесценции после перенесенных тяжелых болезней, а также развитие синдрома эколого-профессионального пе- ренапряжения у военнослужащих. В этом ряду необходимо отметить также массивную кровопотерю, развитие травматического шока и других тяжелых проявлений травматической болезни у раненых.

31

1.3. Р а н е в ы е и н ф е к ц и и

Всякое ранение на поле боя закономерно сопровождается микробным за- грязнением тканей, что обусловливает высокую вероятность возникновения ра- невых инфекционных осложнений. Разнообразные микробы, попадающие в ра- ну, вступают в новые конкурентные отношения друг с другом за субстрат пита- ния. При этом они подвергаются селективному отбору под влиянием изменяю- щихся по ходу раневого процесса местных условий. Последние находят свое

интегральное выражение в характере воспалительной реакции и определяются конкретным биохимическим составом поврежденных тканей, состоянием мик- роциркуляции, характером обмена веществ в тканях, активностью систем мест- ной неспецифической резистентности и иммунитета. Особенностью инфекци- онных процессов, вызываемых этими возбудителями (относящимися к катего- рии условно патогенных микробов), является выраженная зависимость их воз- никновения и характера проявлений от состояния реактивности организма. Следствием этого является нечеткая нозологическая определенность большин- ства видов раневых инфекций (стафилококковых, стрептококковых, энтеробак- териальных). Раневой и инфекционный процессы развиваются в неразрывном единстве, с возможной сменой возбудителей на разных этапах заживления ран.

В динамике состава раневой микрофлоры огнестрельных ран выделяют три периода:

первый период (ранний) — с момента ранения до первичной хирургиче- ской обработки (ПХО) — характеризуется преобладанием в ране представите- лей первичной микрофлоры (спорообразующих анаэробов, стрептококков, пе- нициллиназоотрицательных стафилококков, коринебактерий);

второй период (переходный) — в 1 — 2-е сутки после ПХО, когда в ране обнаруживают представителей как первичной (неадаптированной), так и вто- ричной (госпитальной) микрофлоры;

третий период (госпитальный) — с 3 — 4-х суток после ПХО, когда до- минируют антибиотико-резистентные штаммы /50/.

Основными местными условиями, способствующими развитию инфекци- онных осложнений раневого процесса, являются: 1) интенсивное и продолжаю- щееся бактериальное загрязнение ран, которое может быть как экзогенным, так и эндогенным (при ранениях кишечника и других полых органов); 2) обилие свое- временно не удаленных инородных тел и размозженных тканей, подвергающихся некрозу; 3) тяжелые местные дисциркуляторные, нейротрофические и метаболи- ческие нарушения тканей с образованием обширных диапедезных кровоизлияний, с прогрессирующим отеком и расширением очагов вторичного некроза в ранах.

Общими предпосылками к возникновению раневых инфекций служат массивная кровопотеря и травматический шок, а также посттравматическая

32

иммуносупрессия, которые становятся ведущими факторами патогенеза ранних периодов травматической болезни /65/. Прогрессирование иммуносупрессии в периоде последствий первичных реакций и шока рассматривают как неблаго- приятный прогностический признак в отношении развития инфекционных ос- ложнений и исхода травматической болезни /46/.

К развитию инфекционных осложнений могут предрасполагать генетические особенности организма /93/ и общие нарушения резистентности, связанные с нали- чием предшествующих ранению «фоновых» иммунодефицитных состояний. В ус- ловиях войны в Афганистане они обусловливались в основном развитием у военно- служащих синдрома эколого-профессионального перенапряжения /79, 130/. Небла- гоприятно складывающиеся местные и общие условия протекания раневого про- цесса способствуют усилению альтерации в ране. Как правило, это сопровождается обострением воспаления и активизацией раневых инфекций. Их клиническая ма- нифестация чаще всего приходится на первую начало второй недели после ране- ния, когда заканчивается инкубационный период с достижением пороговой кон- центрации микробов /69/. В сущности, это означает принципиальное изменение взаимодействия макро- и микроорганизмов, при котором организация некротизи- рованных тканей в ране становится невозможной. Вместе с обсеменяющими их микробами поврежденные ткани подвергаются отторжению посредством нагное- ния и секвестрации, следствием чего является удлинение сроков и характера зажив- ления ран по типу вторичного натяжения. Развитие раневых инфекций существен- но отягощает состояние раненых и становится ведущим фактором патогенеза трав- матической болезни в периоде поздних осложнений травмы /60/.

Целесообразно выделять следующие основные клинико-анатомические формы раневых инфекций: гнойную (местную и общую), а также анаэробную, включая анаэробную гангрену, ихорозную инфекцию и столбняк.

1.3.1. Г н о й н а я р а н е в а я и н ф е к ц и я

Гнойная раневая инфекция характеризуется развитием гнойного (серозно- гнойного, ихорозно-гнойного) экссудативного воспаления ран. Ее возбудите- лями служит обычная «гноеродная» микрофлора, включая стафилококков, стрептококков, псевдомонад, ишерихий и других микробов, обитающих в ок- ружающей человека среде, на коже, слизистых оболочках.

Как и все другие инфекции, они также имеют скрытую (доклиническую) фазу своего развития, инкубационный и продромальный периоды, могут проте- кать в абортивной, стертой и манифестной формах. По клиническому течению они могут быть легкими, преимущественно местными и тяжелыми, как правило, с выраженными общими проявлениями, которые характеризуются инфекционно- воспалительным эндотоксикозом с так называемой гнойно-резорбтивной лихо- радкой, инфекционно-токсическим коллапсом и раневым истощением /85/. Даже

33

небольшое местное нагноение в ранах может оказаться начальным проявлением тяжелых раневых осложнений, вплоть до генерализации гнойной инфекции с раз- витием раневого сепсиса или возникновения анаэробной гангрены. Нагноение ран осложняет течение травматической болезни у раненых, требуя коррекции лечения, включая проведение дополнительного хирургического пособия. Однако до на-

стоящего времени вопрос об определении гнойных инфекционных осложнений не нашел общепринятого решения. Следствием этого является отсутствие единого подхода к учету гнойных инфекций у раненых, которые не всегда регистрируют в медицинской документации. В Афганистане гнойные инфекции развивались при ранениях мягких тканей у 5,7 % раненых, груди у 24,8 %, живота у 28 %, конечностей с переломами длинных трубчатых костей у 33 % /17/.

Обычно гнойные осложнения начинают проявляться клинически с 5 — 6-х суток после ранения. Однако, как показывают гистологические исследования, кли-

нической манифестации нагноения в ране предшествует нарастание лейкоцитарной инфильтрации в стенках раневого канала с формированием демаркационного вала вокруг подвергающихся некрозу участков тканей со скоплениями в них микробов /3, 99/. Ткани в очаге воспаления подвергаются литическому воздействию лизосо- мальных ферментов лейкоцитов и начинают расплавляться с образованием микро- абсцессов. Процесс отличается наклонностью к лавинообразному течению и быст- ро приводит к тотальному гнойному расплавлению тканей и секвестрации инфици- рованных участков некроза. Открывается гноетечение (пиорея), что является важ- нейшим клиническим признаком экссудативного гнойного воспаления.

В зависимости от преобладания местных или общих проявлений инфек- ционного процесса принято различать местную и общую (сепсис) клинико- анатомические формы гнойной инфекции.

1.3.1.1. М е с т н а я г н о й н а я р а н е в а я и н ф е к ц и я

Местная гнойная раневая инфекция, первоначально возникнув в том или ином участке раны, развивается далее по присущим ей законам аутокаталити- ческого процесса. Она может оставаться локализованной, протекая по типу так называемого поверхностного нагноения, и затухать со сменой экссудативной фазы на продуктивную. В более тяжелых случаях воспаление проявляет тен-

денцию к распространению в подлежащие ткани с образованием глубоких абсцессов, флегмон и парафасциальных затеков гноя. Последнее в морфоло- гическом плане соответствует понятию местно прогрессирующей, «инвазив- ной», по определению А. А. Балябина /12/, раневой инфекции.

Развитие раневой инфекции приводит к нарастанию отека, гиперемии ко- жи и болезненности в области раны. При задержке снятия швов они начинают прорезываться, и рана раскрывается. Отделяемое раны становится обильным и принимает отчетливо гнойный характер. В глубоких участках раневого канала

34

гнойное воспаление может принимать характер флегмонозного, однако чаще всего ведет к образованию абсцессов и затеков гноя. Нарастающая в этих усло-

виях эндогенная интоксикация неблагоприятно сказывается на общем состоянии раненых. Иногда осложнение проявляется лишь гектической лихорадкой и дру- гими общими симптомами «септического состояния». Даже видимое заживление

ран с их эпителизацией не исключает сохранения в толще соединительной ткани очагов дремлющей инфекции. Вспышки ее по типу рецидивов нагноения или в форме более тяжелых проявлений местной и общей раневой инфекции не ис- ключаются даже в периоде отдаленных последствий травматической болезни. Рецидивирующая хроническая гнойная инфекция со временем принимает харак- тер самостоятельных заболеваний, так называемых вторых болезней /104/: хро- нического остеомиелита, эмпиемы полостей тела, глубоких (висцеральных) хро- нических абсцессов, затяжного септического эндокардита, амилоидоза.

Прогредиентное развитие гнойной инфекции может нарушать течение раневого процесса на любом его этапе, что обычно проявляется образованием флегмоны с диффузным пропитыванием мягких тканей лейкоцитарным (гной- ным) инфильтратом, возникновением абсцессов, затеков гноя и свищевых хо- дов, посредством которых они могут сообщаться с полостями и открываться на поверхности тела. Развитие грануляционной ткани способствует относительной

стабилизации местных очагов гнойной инфекции с формированием вокруг них соединительнотканной стенки. При этом стенки абсцессов, гнойных карманов- затеков и свищевых ходов приобретают ригидность, что приводит к утрате их способности к спадению при опорожнении от гноя.

Наличие в очаге нагноения подвергающихся секвестрации крупных фраг- ментов некротизированных тканей, свернувшихся гематом, отломков костей и

инородных тел может становиться важным фактором хронизации инфекционного процесса. Особенно неблагоприятно в этом отношении развитие нагноения в ко- стной и костно-суставной ране, что может сопровождаться образованием ложного сустава, анкилозом и вести к возникновению раневого остеомиелита. В неблаго-

приятных случаях в воспалительную инфильтрацию вовлекаются также стенки сосудов с развитием картины гнойного лимфангита с распространением инфекции по лимфатическим путям или тромбоваскулита с гематогенной диссеминацией.

Перифокальное развитие гнойного тромбоваскулита указывает на несостоя-

тельность механизмов ограничения микробной инвазии и резко ухудшает местные условия микроциркуляции в тканях, что неблагоприятно сказывается на течении раневого процесса (рис. 23). Это проявляется, в частности, повышенной склонно- стью к образованию обширных очагов вторичного некроза, что приводит к быст- рому разрушению новообразующихся грануляций и резко нарушает течение репа- ративного процесса в ране. Вовлечение в инфекционный процесс сосудов являет- ся важным предрасполагающим фактором возникновения сепсиса /4, 9/.

35