Материал: Elinor_Ostrom_-_Upravlyaya_obschim_Evolyutsia_institutov_kollektivnoi_774_deyatelnosti-1

Внимание! Если размещение файла нарушает Ваши авторские права, то обязательно сообщите нам

Глава 4. Анализ институциональных изменений

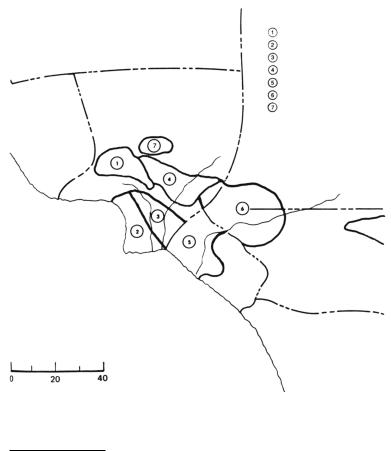
ми бассейнами. В данной главе мы изучим процессы изменения правил в трех бассейнах (Рэймонд, Западный и Центральный), опиравшиеся на соглашения, выработанные в ходе переговоров, касавшихся прав на воду, которые были ключевым элементом трансформации ситуации, сложившейся в этих бассейнах (на рис. 4.1. изображена карта этой зоны)1.

КЕРН

ЛОС-АНДЖЕЛЕС

ВЕНТУРА

р. Сан-Габриел

р. Лос-Анджелес

Бассейн Сан-Бернардино Бассейн Западного побережья Центральный бассейн Главный бассейн Сан-Габриел

Прибрежный бассейн округа Ориндж Бассейн Чиноу Реймонский бассейн

САН-БЕРНАРДИНО

р. Санта-Анна

ТИХИЙ

ОКЕАН

 

Мили

ОРИНДЖ

РИВЕРСАЙД

САН-ДИЕГО

Рис. 4.1. Бассейны грунтовых вод южной прибрежной равнины в Калифорнии

1Более детальный анализ происхождения институтов по распоряжению и управлению водными ресурсами этих трех бассейнов можно найти в отчетах Бломквиста, см. [Blomquist, 1987a,b], [Blomquist, 1988a-e], [Blomquist, 1989], [Blomquist, 1990]. Там же содержится материал и по другим бассейнам, где была спроектирована и реализована другая сеть договоренностей, на базе которых была построена самоуправляемая система.

201

Э.Остром. Управляя общим

4.1.Борьба за воду

èлогика гонки выкачивания

4.1.1. Природные условия

В древнюю геологическую эпоху реки и ручьи, стекая с гористых окрестностей того, что сейчас называется центральной зоной Лос-Анджелес, сформировали широкие и глубокие отложения в виде песка и гравия, которые впоследствии были накрыты мощными пластами глины. Бывшие русла этих рек и ручьев сегодня превратились в расположенные глубоко под поверхностью насыщенные водоносные горизонты, которые можно трактовать как подземные водохранилища. Эти водохранилища пополняются дождевой водой, которая стекает к подножиям холмов и в долины, а также (в гораздо меньшей степени), осадками и стоком вод на самой прибрежной равнине.

Для такого полузасушливого региона, как Лос-Анджелес, наличие бассейнов грунтовых вод представляет собой исключительно ценный ресурс, используемый наряду с поверхностными водными ресурсами (реками, водохранилищами и т.п.). Во-первых, подземные бассейны представляют собой источник высококачественной и недорогой — по сравнению с затратами на доставку издалека — воды, используемой в промышленности, сельском хозяйстве и коммунальном секторе. В 1985 г. Центральный округ водоснабжения Южной Калифорнии (MWD — Metropolitan Water District of Southern California) брал 240 долл. за акр-фут в качестве оптовой цены за воду, доставленную из Северной Калифорнии и из реки Колорадо*. Затраты на выкачивание грунтовой воды в зоне Лос-Анджелеса колебались вокруг средней величины 134 долл. за акр-фут, что означает экономию 100 долл. за акр-фут. Если бы вместо 282,458 тыс. акр-футов подземных вод, добытых из трех бассейнов в 1985 г., использовались поверхностные воды, то это обошлось бы промышленным потребителям, городским домашним хозяйствам и пользовате-

*Акр-фут — количество воды, способной наполнить бассейн площадью один акр и глубиной один фут, чуть более 1,233 млн литров. — Прим. науч. ред.

202

Глава 4. Анализ институциональных изменений

лям сельскохозяйственных систем орошения в дополнительные 28 млн долл. в год2.

Однако подлинная ценность этих бассейнов как источников водоснабжения еще выше, так как они представляют собой естественные накопители, в которых вода может храниться в ожидании периодов пикового спроса3. Каждая система поверхностных вод должна иметь хранилище краткосрочного хранения, способное быстро удовлетворить резко увеличивающийся спрос со стороны водопользователей, что происходит с регулярными интервалами каждый день, каждую неделю и в течение года. Текущие затраты на строительство водонапорной башни в зоне Лос-Анджелеса в среднем составляют что-то около 570 тыс. долл. на акр-фут (см. [Blomquist, 1987a]. Минимальное количество воды для такого хранилища быстрого использования, рекомендуемое авторитетными инженерными стандартами, составляет 16% процентов суммарного водопотребления данной зоны. Если бы бассейны нельзя было использовать для этой цели, то в зоне Западного бассейна, где годовой спрос на воду равен 327 435 акрфутам в год, потребовалось бы водохранилище, способное держать 524 400 акт-фута. Для компенсации отсутствия только одного бассейна потребовались бы инвестиции порядка 3,01 мрлд долл. Потеря всех бассейнов грунтовых вод, имеющихся в зоне Центральный Лос-Анджелес, была бы экономической катастрофой гигантского масштаба.

2Фактические затраты на доставленную воду намного превосходят оптовую цену, взимаемую Столичным округом водоснабжения Лос-Анджелеса (Metropolitan Water Disctrict of Los Angeles, MWD) за доставляемую воду, так как значительная часть капитальных затрат на строительство водоводов, по которым вода подается из реки Колорадо и Северной Калифорнии, была профинансирована с помощью налогов на недвижимость и не отра-

жена в оптовых ценах MWD.

3Запасы воды, хранящейся в этих подземных бассейнах, имеют дополнительную ценность, не зависящую от будущего использования как источника извлечения неких последовательных количеств воды. Запас воды, хранящийся в бассейне, содержит «воду, которая подкачана ближе к поверхности земли, что снижает затраты на ее выкачивание на поверхность» [Nunn, 1985, p. 872]. Эта экономия на затратах представляет собой коллективную выгоду, доступную всем, кто занимается добычей воды путем выкачки из глубин.

203

Э. Остром. Управляя общим

Бассейны грунтовых вод могут быть уничтожены вследствие избыточного извлечения и/или загрязнения. Если каждый год из бассейна извлекается больше воды, чем в среднем поступает туда (это количество называется допустимым дебитом бассейна), то в конце концов гравий и песок водоносного пласта уплотнятся до такой степени, что они больше не смогут содержать столько воды, сколько могли ранее. Если при этом бассейн грунтовых вод расположен рядом с океаном и его уровень понизится ниже уровня моря, то вдоль всей линии берега начнется проникновение соленой воды. Скважины, пробуренные около побережья, придется законсервировать. Если проникновение соленой воды не удастся остановить, то в конечном счете весь бассейн станет непригодным для использования в качестве источника водоснабжения или емкости для хранения воды. Истощительная откачка воды угрожала всем бассейнам грунтовых вод данного региона — до тех пор, пока не произошли институциональные изменения, инициированные теми, кого это затронуло.

4.1.2. Логика игры с правами на воду

Истощительная выкачка стала логическим следствием того способа, которым грунтовые воды были определены до того, как начались институциональные изменения, описываемые в настоящей главе. Права на воду в Калифорнии определялись на основе либо производителя, владевшего участком земной поверхности и использовавшего воду на этом участке (владелец земли на поверхности), либо использовавшего ее для подачи на участки, не находившиеся в собственности производителя воды (присваивателя). По нормам общего права владелец участка на поверхности является держателем «берегового права» на «полный поток» воды, протекающей под его или ее землей (см. [Nunn, 1985]). В регионе со значительной нехваткой воды общее право не обеспечивает защиты прав владельца участка поверхности. Вода, находящаяся под любым участком земли (скажем, участком А), может быть откачана на соседний участок, если сосед выкачивает воду быстрее, чем владелец участка А. В ходе судебного процесса «Кац против Уолкиншоу» (Katz v. Walkinshaw [141 Cal. 116, 74 P. 766 (1903)]) была сформулирова-

204

Глава 4. Анализ институциональных изменений

на доктрина «соотносительных прав» (correlative rights) —

стем, чтобы она заменила слишком жесткую интерпретацию берегового права. Этой доктриной утверждалось, что если в период дефицита воды суд выносит решение в условиях столкновения интересов, то он должен считать всех собственников участков на поверхности соотносительными и равными совместными собственниками (coequal owners), и в период дефицита воды каждый должен получать не абсолютную, а пропорциональную долю воды. Эта доктрина была несколько изменена в ходе процесса «Сан-Бернардино против Риверсайда» (San Bernardino v. Riverside [186 Cal. 7 (1921)]), который решил, что забор воды собственниками участков должен быть ограничен количеством, которое они направляют на «полезные нужды»*.

Таким образом, землевладельцы, имеющие дело только

сдругими землевладельцами, знали, что если в период дефицита воды для разрешения споров по поводу прав на воду они обратятся в суд, то любое сокращение предложения воды будет пропорционально разделено между ними. Однако на большинстве территорий с бассейнами грунтовых вод землевладельцы сталкивались с другим типом водопользователей, называвшихся «присваивателями воды», требования которых на воду имели другие основания, чем у землевладельцев, использовавших воду для «полезных нужд». Присваиватели выкачивали грунтовую воду для использования на землях, которые им не принадлежали. Большая часть частных и коммунальных компаний водоснабжения имели все основания называться такими присваивателями, поскольку вода, которую они выкачивали, использовалась их клиентами, а не самими компаниями по водоснабжению. Землевладение, не предполагающее владения участком на поверхности, допускалось, если не поощрялось, доктринами прав на присвоение

*Beneficial use — имеется в виду сумма воды, расходуемой для нужд коммунального потребления, и воды, пошедшей на прямые хозяйственные нужды, например орошение, или на нужды промышленности. Этот перевод не имеет отношения к русскоязычному термину из экономики водных ресурсов, где полезными нуждами называют нетто-добычу, т.е. дебит скважины за минусом той воды, что пошла на технико-технологическое обеспечение добычи. — Прим. перев.

205