Материал: Расчетно_пояснительная_записка_РГЗ_ТТ_22 Новикова

Внимание! Если размещение файла нарушает Ваши авторские права, то обязательно сообщите нам

2.5 Визначення проектного значення підвищення кордону причалу.

Призначається з умов зручності стоянки суден біля причалу і виробництва навантажувально- розвантажувальних робіт, нормальної роботи рухомого складу наземного транспорту, незатоплюваності не лише верху території в період стояння високих вод, але і підземних комунікацій (галерей з трубопроводами, силовими і освітлювальними кабелями).

Лінія кордону причалу - це лінія перетину водного середовища з лицьовою стінкою причалу.

Відмітка портової території зазвичай приймається незмінною по її довжині і ширині, що спрощує роботи по прокладенню залізничної колії і, робить зручний транспортний зв'язок між причалами.

Основна норма підвищення території над середнім багаторічним рівнем має бути не менш 2-х метрів, а перевірочна норма аналогічно не менше 1м.

Визначимо по формулах.

За завданням дано:

+ Н1 = 0,5 м; - Н2 = -0,3 м.

У формулу підставляємо значення коливання рівня води без урахування знаків.

1) ВК-(ΔН1+ΔН2) ≥ 1 м;

2) (ВК-ΔН2) ≥ 2 м;

Перевірка: ВК = 2+ Н2 =2+0,3=2,3

ВК-(ΔН1+ΔН2) =2,3-(0,4+0,3)=1,6) ≥ 1 м

Приймаймо значення ВК = 2,3 м

2.6. Визначання розмірів основних елементів внутрішньої акваторії порту.

2.6.1 Ввх – ширина входа в порт.

Bвх = Lс. max,

де Lс.max – довжина максимального судна, з усіх суден, які відвідують порт.

(Береться з завдання). ( п.1.10).

Bвх = Lс. max=311,0

Вхідні ворота в порт починається з вхідного рейду. Це ділянка прямої, яка призначена для гасіння швидкості судна, що входить, в порт.

Рекомендується

Lвх.рейду = від 3 до 5 Lс.max..

  1. Lвх.рейду = 3 Lс.max =3*311,0=933

  2. Lвх.рейду = 5 Lс.max =5*311,0=1555

Діаметр розворотного коло судна чи коло циркуляції визначається по формулі:

Dц = 3,5Lc.max - при руху судна власним ходом;

Dц = 2 Lc.max - при руху судна за допомогою буксира

Dц = 3,5Lc.max= 3,5*311,0 = 1089- при руху судна власним ходом;

Dц = 2 Lc.max = 2*311,0=622- при руху судна за допомогою буксира

.

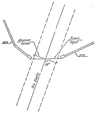
Рисунок 2.3- До визначання ширини воріт та діаметра розворотного кола

Коло розвороту зазвичай розміщується на плані порту на відстані 100 м від всіх виступаючих частин. Направлення, пануючого по напряму, вітру наведено на плані побережжя, де розміщується проектований порт.

2.6.2 Визначення глибини на вході в порт .

Глибину каналу визначаємо для судна, що має максимальне осідання у вантажу, ів усіх суден, відвідуючих даний порт. У розрахунках враховують навігаційний, хвилевий, швидкісний запаси, а також запас на крен судна і на заносимість на каналі. Звідси відома нам формула набуває нового сенсу з урахуванням даних відносно вхідного каналу до порту

H вх в порт = Тсmax + Z1 +Z2 +Z3 +Z0 + Z4, м

Підставимо значення запасів на глибину для нашого судна із максимальною осадкою у вантажу

Z1 = 0,07*12,7=0,889 Тmax ( береться з таблиці 1, на вході в порт)

Одержуємо при вихідної висоті хвилі на підході до порту -

(п.1.8 Завдання на виконання РГЗ)

h вх. в порт = 3,5м та довжині судна Lс max =311,0.

Z2 = 0,56 м (таблиця 2.2).

Приймаємо z2 = 0,56 м

Z3 – швидкісний запас ( на змінення посадки судна на ходу при порівнянні з посадкою судна на стоянці при спокійній воді), м;

Приймаємо швидкість руху судна по підхідному каналу та на підході до порту від 5 до 6 вузлів. Відповідно значення швидеісного запасу Z3 приймаємо від 0,25 до 0,3 м.

Приймаємо Z3 =0,3 м.

Визначаємо швидкісний запас Z3 = 0,3 м ; ( таблиця 2.3)

Z0 мах = 1,3м запас на крен, самий максимальний за значенням, із таблиці 2.5.

Z4 - запас на заносимість на каналі ( п. 1.6 Завдання на виконання РГЗ)

Z4 =0,8

Внаслідок виконаних розрахунків одержуємо значення глибини на вході до порту, яка носить назву «ОГОЛОШЕНА».

Нвх в порт = H кан = 12,7+0,889+0,56+0,3+1,3+0,8=16,5м.

Оголошена глибина на каналі Н кан. = 16,5м.

3.Визначання кількості причалів для розрахункового виду вантажу

Вугілля

Потреба у вантажних причалах визначається по формулі:

, (3.1)

де Qміс - вантажообіг морського вантажного причалу в місяць найбільшої роботи, т/міс;

шт/міс.

Кмет - коефіцієнт використання бюджету робочого часу причалу за метеорологічними умовами в місяць найбільшої роботи.

Кмет = Nнав/365.

Кмет = 290/365=0,79

Кзайн - коефіцієнт зайнятості причалу обробкою суден в течії місяця.

Рекомендується приймати:

Кзайн для контейнерів - від 0,4 до 0,5;

Кзайн - універсального призначення- від 0,6 до 0,7;

Кзайн - для навалювальних і лісових вантажів - від 0,5 до 0,6.

Подальший розрахунок ведеться в наступній послідовності:

Визначаємо Рдобова - добову пропускну спроможність причалу, т/добу або штук/ добу.

1. Для цього спочатку знайдемо значення місячного вантажообігу причалу по формулі:

Qміс =780 000*1,3/9,6=105625 (3.2)

де Qрічн – річний вантажообіг; З завдання Qрічн = 780 000 т

Кмес=1,3

Визначимо час роботи причалу, в місяцах

Тнав.= =290/30=9,6 (3.3)

де Nнав =9,6 - число днів навігації причалу .

2.Визначимо розрахункове завантаження судна для всіх вантажів, окрім контейнерних:

= 89775/1,3*1=69 057 (3.4)

«Победа» (Росія)

D=60800

W=89775

Кол-во=8

Дедвейт=66500

де W – вантажомісткість трюмів розрахункового судна ;

W =89775 м3

U- питомий вантажний об'єм; U = 1,3 ( з табл. 3.1)

Kтр- коефіцієнт щільності укладання вантажів в трюмі;

Kтр. = 1 ( из табл .9)

Одержане значення Q3 порівнюємо з чистою вантажопідйомністю судна, та за розрахункове значення приймаємо менше.

Якщо Q3 > Дч , то Дч=Дγ=60800, Якщо Q3 < Дч, то Q3=Дγ.

Таблиця 3.1 - Значення U, м3./т та Ктр

найменування вантажу

U, м3

Ктр

генгруз однородний

от 1,36 до2,5

от 1 до1,14

генгруз змішаний

от 1,02 до3,99

от 1 до 1,35

Руда

от 0,3 до 0,85

1

вугілля

от 1,1до1,4 принимаю 1,3

1

будматеріали

от 0,55 до1

1

ліс пиляний

от 1,73 до 2,23

от 1,04 до 1,25

ліс круглий

от 1,7 до 2,2

от 1 до 1,35

метал , обладнання

0,99

1

Для контейнерних вантажів розрахункова завантаження судна дорівнює паспортної.

3. Оптимальне число механізованих ліній (nопт), необхідне для обробки розрахункового вантажу приймається за числом люків на судні наступним чином:

n опт= nлюков - для лісових , металу та обладнання;

n опт = nлюків +1 для генеральних вантажів;

n опт = nлюків -1- для навалювальних вантажів. n опт = 8-1=7

n опт = 1 – для контейнерних вантажів.

Вибираємо схему механізації по переробці розрахункового виду вантажу та відповідну до неї комплексну норму виработки Рк одної технологічної лінінії тон на добу, чи штук на добу з таблиці 3.2

.

Таблиця 3.2 - Комплексна норма виработки Рк одної технологічної лінії

Найменування

вантажу

Номер схеми

механізації

Комплексна норма

виработки,

Рк, т/зміну

Генеральні

змішані та однородні

№ 1,2

250

Метал та обладнання

№4

від 285 до 340

Ліс круглий, пиляний

№5

510

Вугілля, руда,

буд. матеріали

№9

від 1520 до 2500 принимаю 2000

Контейнерні вантажі

№13

від 320 до 400 шт/зміну

4.Визначаємо проектну годинну норму вироблення (годинну продуктивність однієї вантажної лінії (для усіх вантажів крім контейнерних)

Рк1= = (2000*3/24)*0,9*1=225 (3.5)

де r - кількість змін роботи; r = 3.

λ1 – це коефіцієнт, що враховує технічні перерви в роботі лінії, він рівний від 0,85 до 0,9.

λ2 – це коефіцієнт, що враховує проміжки в роботі рядом розташованих ліній.

λ2 =0,95 (для всіх вантажів, крім навалювальних). Для навалювальних λ2 = 1.

5.Визначимо проектну судно- годинну норму вантажних робіт на причалі, т/судно/година чи шт/судно/година.

М к1* nопт. =225*7=1575 (3.7)

М = 1575

6.Час зайнятості причалу виконанням вантажних робіт:

tвант= = 60800/1575=38,60 (3.8)

Підставляємо дані: tвант = 38,60годин.

Добова пропускна здатність визначається определяется по формулі:

Рдобова , т/ добу=24*60800/38,60+8=31313,3 (3.10)