Материал: 2071

Внимание! Если размещение файла нарушает Ваши авторские права, то обязательно сообщите нам

Приложение 5

Проектные (красные) отметки и горизонтали

Проектные (красные) отметки определяют по формуле

Нкр( j) Нкр(i) iкр(i j) Li j ,

(П.5.1)

где Нкр(i) – проектируемая (красная) отметка в i-й точке, м; Нкр( j) – проектируемая (красная) отметка в j-й точке, м; iкр(i j) – проектируемый (красный) уклон между i-й и j-й точками участка дороги; Li j

расстояние между i-й и j-й точками участка дороги, м.

Проектный (красный) уклон местности iкр принимается равнозначным по числу и по направлению существующему уклону iчер , если уклон 0,004 iчер 0,060 и направление удовлетворяет.

Расстояния между проектными (красными) горизонталями lгор по оси дороги определяют по формуле

 

 

 

lгор

 

lш

 

,

(П.5.2)

 

 

 

 

 

 

 

 

 

 

 

iкр(i j)

 

где lш – шаг проектных (красных) горизонталей, м;

iкр(i j) – проект-

ный (красный) уклон между первой и n-й точками участка дороги.

Расстояния между

проектными

(красными)

горизонталями

lгор.лот по лотку дороги определяют по формуле

 

l

 

 

hпопер

.

 

 

 

(П.5.3)

гор.лот

 

 

 

 

 

 

iкр(i j)

 

 

 

 

 

 

 

 

 

 

 

Высоту превышения оси дороги над лотком дороги hпопер определяют по формуле

hпопер b iпопер,

(П.5.4)

где b – ширина проезжей части в одном направлении, м;

iпопер – по-

перечный уклон.

 

75

Приложение 6

Особенность нанесения красных горизонталей с шагом горизонталей lш= 0,1 м

Порядок выполнения:

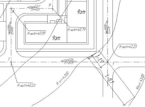
1.Назначим переломные точки по осям перекрестков дорог и проездов, а также на переломе рельефа местности.

2.Определим высотные черные отметки Нчер на переломных точках и перекрестках, произведем расчет существующего уклона по до-

роге iчер .

2.1.Определим высотные черные отметки Нчер(1) по формуле (2):

Нчер(1) Н г.н (Н г.в Н г.н ) Ll 42,00 (43,00 42,00) 18,,91 42,23 м.

Остальные высотные отметки Нчер(2 j) определим аналогично.

2.2. Определим уклоны на рассматриваемых участках по формуле

(1):

i

 

 

Нчер(1) Нчер(7)

 

42,23 40,23

 

0,034

;

 

 

 

 

 

 

 

чер(1 7)

 

 

L1 7

 

59,5

 

 

 

 

 

 

 

 

 

 

 

 

i

 

 

Нчер(7) Нчер(8)

 

 

40,23 40,09

 

0,004;

 

 

 

 

 

 

 

чер(7 8)

 

 

L7 8

 

33

 

 

 

 

 

 

 

 

 

 

 

 

i

 

 

Нчер(9) Нчер(8)

 

 

40,79 40,09

 

0,027 .

 

 

 

 

 

 

 

чер(9 8)

 

 

L9 8

 

25,5

 

 

 

 

 

 

 

 

 

 

 

 

Остальные уклоны iчер определим аналогично iчер(1 7) по формуле

(1).

Полученные данные нанесем на чертеж (см. рис. П.6.1).

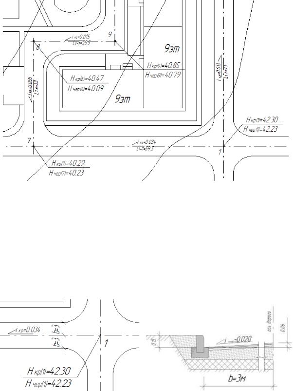
3. Назначим красную отметку Нкр(1) и определим остальные Нкр(2 j) в зависимости от назначенного проектируемого уклона iкр

(рис. П.6.2).

3.1. Определим Нкр(1) Нкр(7) и iкр(1 7) :

-назначаем Нкр(1) = 42,30 (насыпь, см. рис. П.6.2);

-iкр(1 7) = iчер(1 7) , так как 0,004 iчер 0,034 0,060;

-направление iкр(1 7) совпадает с iчер(1 7) ;

-Нкр(7) Нкр(1) iкр(1 7) L1 7 42,30 0,034 59,5 40,29 м.

76

Продолжение прил. 6

3.2. Определим Нкр(8) и iкр(8 7) : - принимаем iкр(8 7) 0,005 ;

- направление iкр(8 7) противоположно iчер(7 8) (см. рис. П.6.1 и рис. П.6.2), принятые значения необходимы для избежания «ловушки» воды в точке 8, где по существующим уклонам вода стекает в пониженное место (рис. П.6.1);

- Нкр(8) Нкр(7)

iкр(8 7) L8 7 40,29 0,005 33 40,47 м.

3.3. Определим Нкр(9)

и iкр(9 8) :

- вместо iкр(9 8)

0,027

принимаем iкр(9 8) 0,015;

- направление

iкр(9 8)

совпадает с iчер(9 8) , принятые значения

необходимы для избежания резкого перехода уклона через точку 8; - Нкр(9) Нкр(8) iкр(9 8) L9 8 40,47 0,015 25,5 49,85 м.

3.4. и т.д. Полученные данные нанесем на чертеж (см. рис.

П.6.2).

Рис. П.6.1. Определение черных отметок и уклона территории микрорайона

77

Продолжение прил. 6

Рис. П.6.2. Определение красных (проектных) отметок и уклона территории микрорайона

4. Назначим шаг горизонталей lш и определим расстояние lгор между ними в зависимости от проектируемого уклона iкр и попереч-

ного уклона iпопер . Проектируемый уклон iкр определен по п. 3.1 (рис. П.6.3, а), а поперечный уклон принимаем iпопер 0,020 для дорог (рис.

П.6.3, б).

а) б)

Рис. П.6.3. Территория проезжей части: а – фрагмент дороги в точке 1; б – поперечный разрез дороги

78

Продолжение прил. 6

Если проектируемая отметка, в переломной точке или на перекрестке дорог от которой начинаем определять расстояние, кратна 0,10, т.е. Нкр(1) 42,30, то определение расстояний lгор и lгор.лот выполняем в следующей последовательности (рис. П.6.4):

Участок 1-7:

-шаг проектных горизонталей принимаем l ш =0,1 м;

-принимаем поперечный уклон iпопер 0,020 для дорог;

-определяем расстояние между точками горизонталей по оси до-

роги по формуле

lгор

lш

 

0,1

2,94

м;

iкр(1 7)

0,034

 

 

 

 

 

- определяем высоту превышения оси дороги над лотком дороги по формуле hпопер b iпопер 3 0,020 0,06 м;

- определяем расстояние по лотку проезжей части по формуле

lг ор.лот

hпопер

 

0,06

1,76 м;

iкр(1 7)

0,034

 

 

 

- производим градуирование по оси проезжей части.

Если проектируемая отметка, в переломной точке или на перекрестке дорог от которой начинаем определять расстояние, не кратна 0,10, т.е. Нкр(7) 40,29 , то определение расстояний lгор и lгор.лот выполняем в следующей последовательности (рис. П. 6. 6).

Рис. П.6.4. Фрагмент градуирования участка дороги в точке 1

79