3.1
Екологічне дослідження
.1.1 Екологічні зони України
Для проведення даної роботи були обрані наступні населені пункти: м. Київ та село Ярославка, Шполянського району, Черкаської області. Попередньо визначено, екологічну зональність даних районів [Електронний ресурс]. Відповідно до наведеної карти (додаток 5), м. Київ відноситься до «забрудненої екологічної зони», а с. Ярославка - до «умовно чистої».
Виходить, що жителі м. Києва,
здебільшого, мають слабший імунітет ніж жителі с. Ярославки, адже місто знаходиться
у гірших екологічних умовах. Як наслідок, це сприяє більш активному поширенню
герпес-вірусів.
3.1.2 Дослідження мікрофлори повітря
Одним з факторів, який
характеризує екологію місцевості є мікрофлора повітря. Якісний склад мікрофлори
повітря вивчається за допомогою методу Коха: експозиція чашок Петрі з
елективним поживним середовищем
<#"868195.files/image001.gif">А
Б
. Малюнок - Герпес-вірусів: А -
нуклеокапсид вірусної частки та відходяча на різну відстань від нього оболонка
формує характерну картину «смаженого яйця»; Б - модель вірусної частки
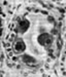
. Електронні мікрофотографії нуклеокапсидів і віріонів HSV. «А, Б» - негативно забарвлені препарати. «В, Г» - тонкі зрізи заражених клітин. А. 1 - інтактний віріон, непроникне ний для негативної фарби, 2 - капсид. Б. Нуклеокапсид: видна характерна для герпес-вірусів капсомірна структура. В. Віріони з пошкодженими оболонками, що дозволяють бачити електроннощільний тегумент, розташований між поверхнею капсиду і внутрішньою стороною оболонки. Г. Дві частинки з різною орієнтацією тороїдальної серцевини. У разі вібріона 1 зріз зроблено через тороїд перпендикулярно осі симетрії; у разі вібріона 2 зріз зроблений паралельно цій осі.
. Основні етапи реплікативного циклу
вірусу герпесу.
. Електронна мікрофотографія - Специфічний вигляд зараженої цітомегаловірусом клітини - «совине око».
. Екологічна карта України
. Загальноприйняті норми кількості мікроорганізмів на 1м3 в повітрі приміщенні
|
Оцінка повітря |
Літній режим |
Зимовий режим |
||
|
|
Всього мікроорганізмів |
Показникових мікробів |
Всього мікроорганізмів |
Показникових мікроорганізмів |
|
Чистий |
1500 |
16 |
4500 |
36 |
|
Брудний |
2500 |
36 |
7000 |
124 |
. Таблиця визначення завантаженості вулиць автотранспортом у м. Києві та у с. Ярославка.
|
Тип автомобіля |
Кількість автомобілів в різний період доби, шт. |
|||||
|
|
Київ |
Ярославка |
||||
|
|
8 год. |
13 год. |
18 год. |
8 год. |
13 год. |
18 год. |
|
Легкої вантажності |
112 |
54 |
111 |
3 |
2 |
2 |
|
Середньої вантажності |
40 |
22 |
15 |
1 |
- |
1 |
|
Важкої вантажності |
8 |
4 |
2 |
2 |
1 |
2 |
|
Автобус |
4 |
4 |
4 |
1 |
1 |
1 |
|
Вантажні |
- |
2 |
- |
- |
1 |
- |

. Графіки вірусоносійства
серед молоді, процентний відсоток в залежності від віку інфікованих, місця
проживання, 2013 рік
10. Діаграми відсоткового
співвідношення носіїв вірусу герпесу серед молоді у м. Києві та у с. Ярославка.

. Діаграма процентного
співвідношення кількості інфікованих учасників (за віком) до загальної
кількості осіб (м. Київ, с. Ярославка).
. Таблиця для другої групи крові, за Пітером Д`адамо
|
Сильні якості |
Слабкості |
Хвороби до яких є схильність |
Характер дієти |
Продукти, що нормалі-зують вагу |
Корис-ні до-мішки |
Режим фі-зичних на-вантажень |
|
Добра адаптаціядо нових умов, імунна система легше зберігає споживні речовини,приско-рює метабо-лізм |
Чуттєвий травний тракт Вразлива імунна система, слабо протес- тує проти вторгнення хворо-ботвор- них мік-рооргані-змів |
Захворю- вання сер-ця, рак, анемія, розлади печінки і жовчного міхура, діабет І-го типу |
Вегетарі-анська, овочі, тофу, морепро-дукти, зла-ки, плоди бобових рослин, фрукти |
Нарощують вагу: м’ясо, молочна їжа, звича-йна овочева фасоль, лім-ська фасоль, пшениця Зменшує вагу: рос-линні масла, соєві проду-кти, овочі, ананаси |
Вітамін В 12, фолієва кислота, вітамін С, віта-мін Е, бояриш-ник, ру-дбекія, кверце-тин, мо-лочний чорто-полох |
Вправи, за-безпечуючі спокій і зосередженість: хатха-йо-га,тай-чи-чуань |