Материал: 2913

Внимание! Если размещение файла нарушает Ваши авторские права, то обязательно сообщите нам

Таблица 5

Вычисление аппликаты центра величины

Площадь ватерлиний

Множители

Произведение площадей ватерлиний

плеч

на множители плеч

 

 

 

 

 

 

 

 

 

 

 

 

S0

0

0

 

 

 

 

 

 

 

 

 

 

 

 

 

 

 

 

S1

1

 

1 S1

 

 

 

 

 

 

 

 

 

 

 

 

 

 

S2

2

 

2 S2

 

 

 

 

 

 

 

 

 

 

 

 

 

 

S3

3

 

3 S3

 

 

 

 

 

 

 

 

 

 

 

 

 

 

S4

4

 

4 S4

 

 

 

 

 

 

 

 

 

 

 

 

 

 

Сумма

 

mSi

 

 

 

Поправка

 

 

4

S4

 

 

 

 

2

 

 

 

 

 

 

 

 

 

 

 

 

 

 

 

 

 

 

 

 

Исправленная сумма

 

mSi

4

S4

 

 

 

 

 

 

 

 

 

 

2

 

 

 

 

 

 

 

 

 

 

 

Аппликата центра вели-

 

 

 

mSi

4

S4

 

Zc = T2

2

чины, м

 

 

 

 

 

 

 

 

 

 

 

 

 

 

 

 

V

 

 

 

 

 

 

 

 

 

Так как объемное определяется интегралом вида

 

 

 

 

T

 

 

 

 

 

 

 

 

 

V = Sdz ,

 

 

 

 

 

 

(13)

 

0

 

 

 

 

 

 

 

 

 

то, следовательно, уравнение кривой водоизмещения может быть представлено в виде интеграла с переменным верхним пределом

T

 

V = f (z)= Sdz ,

(14)

0

 

где S = f(z) - переменная по углублению Z площадь ватерлинии.

Из этого следует, что график функции V=f(z) представляет собой интегральную кривую к графику функции S= f(z) , называемому строевой по ватерлини-

ям. Следовательно, кривая водоизмещения есть интегральная кривая по отношению к строевой по ватерлиниям. Ординаты кривой водоизмещения вычисляются как частные значения интеграла с переменным верхним пределом. Основная кривая (строевая по ватерлиниям) задается графически, поэтому численные значения ординат интегральной кривой, представляющие собой в масштабе часть площади строевой по ватерлиниям, могут быть определены по правилу трапеций [1, 2], а именно:

- водоизмещение по 1-ю ватерлинию составит

 

 

V =

 

T

 

 

(S

 

 

+ S

);

 

 

 

 

 

 

 

 

 

 

 

 

 

 

 

 

 

 

(15)

 

 

 

0

 

 

 

 

 

 

 

 

 

 

 

 

 

 

 

 

 

 

 

 

 

 

1

2

 

 

 

 

1

 

 

 

 

 

 

 

 

 

 

 

 

 

 

 

 

 

 

 

 

 

 

 

 

 

 

 

 

 

 

 

 

 

 

 

 

 

 

 

 

 

 

 

 

 

 

 

 

 

 

 

 

- водоизмещение

по 2-ю ватерлинию

 

 

 

 

 

 

 

 

 

 

 

 

 

 

 

 

 

 

 

V2 =

 

T

(S0 + S1 )+ (S1 + S2 );

 

 

 

 

 

 

 

 

 

 

 

 

 

 

(16)

 

 

 

 

 

 

 

 

 

 

 

 

 

 

 

 

 

 

 

 

 

 

2

 

 

 

 

 

 

 

 

 

 

 

 

 

 

 

 

 

 

 

 

 

 

 

 

 

 

 

- водоизмещение

по 3-ю ватерлинию

 

 

 

 

 

 

 

 

 

 

 

 

 

 

 

 

 

 

 

V =

 

T

[(S

 

+ S

 

)+ (S

 

+ S

 

)+ (S

 

+ S

 

)]= V

 

+

 

T

(S

 

+ S

 

);

(17)

 

 

 

0

1

1

2

2

3

2

 

 

2

3

 

 

 

3

2

 

 

 

 

 

 

 

 

 

 

 

 

2

 

 

 

 

 

 

 

 

 

 

 

 

 

 

 

 

 

 

 

 

 

 

 

 

 

 

 

 

 

 

 

 

 

 

 

- водоизмещение

по 4-ю ватерлинию

 

 

 

 

 

 

 

 

 

 

 

 

 

 

 

 

 

V4 =

T

[(S0

+ S1 )+ (S1 + S2 )+ (S2

+ S3 )+ (S3 + S4 )]= V3 +

 

T

(S3 + S4 ),

(18)

2

 

2

 

 

 

 

 

 

 

 

 

 

 

 

 

 

 

 

 

 

 

 

 

 

 

 

 

 

 

 

 

 

 

где ΔТ - расстояние между соседними ватерлиниями, м; S0, S1, S2, S3, S4 - площади ватерлиний, м2.

Площади Si соответствующих ватерлиний берутся из табл.1, а Т - по теоретическому чертежу.

По расчетным данным строится кривая водоизмещения на миллиметровой бумаге 11 форма (21 х 30 см), с необходимым оформлением и пояснениями соблюдая требования ЕСКД, и подшивается в пояснительную записку к курсовой работе.

Для построения кривой выбираются удобные вертикальный и горизонтальный масштабы.

Грузоподъемностью, или дедвейтом судна называется масса грузов, которую может принять судно, будучи в порожнем состоянии, до погружения на допустимую осадку.

Рис.6. Кривая водоизмещения

В курсовой работе, используя кривую водоизмещения, требуется определить грузоподъемность судна при

T0=0.3T, (19) где Т - осадка судна по КВЛ, м, берется с теоретического чертежа.

8 Вычисление элементов начальной остойчивости судна

Остойчивостью называется способность судна, выведенного из положения равновесия внешними силами и предоставленного самому себе, вновь воз-

вращаться в первоначальное положение равновесия после того, как действие внешних сил прекратилось.

Наклонение судна в поперечной плоскости называется креном, в про-

дольной плоскости - дифферентом.

Главнейшим положением метода начальной остойчивости является тео-

рема Эйлера о равнообъемных наклонениях.

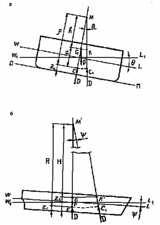
При равнообъемном наклонении судна изменяется лишь форма подводного объема, само объемное водоизмещение остается неизменным, а центр тяжести подводного объема, перемещается по некоторой траектории из точки С в

точку С1 (рис.7).

На рис.7а точка М - главный поперечный метацентр, а отрезок МС, обозначаемый буквой ρ, называется главным поперечным метацентрическим ра-

диусом.

При продольных равнообъемных наклонениях рис.7б точка М’ - главный продольный метацентр, а отрезок МС, обозначаемый ρ , называется главным

продольным метацентрическим радиусом.

Подробно остойчивости изложено в литературе [1. 2].

Поперечный метацентрический радиус Р равняется моменту инерции Ix площади действующей ватерлинии относительно ее центральной продольной оси, де-

ленному на объемное водоизмещение судна

по V по действующую ватерли-

нию, подсчитывается по формуле

 

ρ =

Ix

.

(20)

 

 

V

 

При дифференте равнообъемное наклонение происходит вокруг поперечной оси, проходящей через центр тяжести действующей ватерлинии. Продольный метацентрический радиус вычисляется по формуле

R =

Ix

.

(21)

 

 

V

 

где Iy - момент инерции площади действующей ватерлинии относительно поперечной оси, м4;

V - объемное водоизмещение по действующую ватерлинию, м3.

Рис.7 Элементы начальной остойчивости: а - поперечное наклонение; б - продольное наклонение