Материал: Геомеханическое обеспечение горных работ

Внимание! Если размещение файла нарушает Ваши авторские права, то обязательно сообщите нам

расширение области применения столбовой системы разработки, в которой предусматривается повторное использование выработки, прямоточная схема проветривания с подсвежением исходящей струи;

обеспечение высокой безопасности работ по условиям выхода людей непосредственно на свежую струю воздуха при аварийной ситуации в выемочном поле;

осуществление сонаправленного движения угля и воздуха по лаве.

Наиболее простая система разработки представлена на рисунке 15.4. Средняя наклонная панельная выработка проводится в почве пласте на расстоянии 10 - 15 м от него. Конвейерный штрек за лавой охраняется кострами в сочетании с подпорно-оградительной крепью; кровля плавно опускается на величину, равную мощности пласта. Проветривание прямоточное. Свежая струя воздуха подаётся по двум штрекам, исходящая - по откаточному штреку за лавой на фланговый ходок. Предусматривается щелевая или иная разгрузка массива горных пород.

Рисунок 15.4 - Способ подготовки и система разработки длинными столбами с повторным использованием штреков в разгруженных зонах при прямоточном проветривании с подсвежением исходящей струи воздуха

Лекция 16. Особенности вскрытия шахтных полей на больших глубинах

Направления совершенствования схем вскрытия:

главные магистральные и основные наклонные выработки блоков и горизонтов проводятся в разгруженных от горного давления зонах;

вскрытие и подготовка шахтных полей вертикальными стволами и капитальными квершлагами с применением транзитных наклонных выработок, что приводит к уменьшению числа основных углеподъёмных горизонтов при больших размерах шахтного поля по падению, к уменьшению начальной глубины стволов;

вскрытие и подготовка шахтного поля участками-блоками с прохождением слепых стволов или блочных стволов для спуска угля и грузов на основной горизонт;

автономное вскрытие и разработка частей шахтного поля больших размеров шахтами-блоками с передачей угля на центральную промплощадку по транспортным выработкам, расположенным под дневной поверхностью;

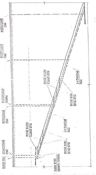
вскрытие и подготовка блоков шахты с выдачей угля на поверхность и выполнением вспомогательных операций по блочным стволам. Предложено 15 схем вскрытия [9]. Схема вскрытия №3 - вскрытие вертикальными стволами, пройденными до верхней границы шахтного поля, с подготовкой уклонных полей транзитными уклонами представлена на рисунке 16.1. Размер шахтного поля по падению более 3 км.


В этой схеме реализованы все направления совершенствования схем вскрытия шахтного поля: проведение выработок в разгруженных зонах; один углеподъёмный горизонт; наименьшая глубина стволов; бесступенчатый транспорт угля.


Лекция 17. МЕТОДОЛОГИЯ ОПРЕДЕЛЕНИЯ ПАРАМЕТРОВ ТРЕЩИНОВАТЫХ МАССИВОВ ПРИМЕНИТЕЛЬНО К УПРОЧНЕНИЮ

Геомеханические основы упрочнения массива пород вокруг примыкающих к лавам выработок, которые включают закономерности взаимной связи между деформационными, фильтрационными свойствами массива пород и технологическими свойствами скрепляющих составов изложены в предыдущих главах. Они являются основой для выбора и обоснования новых технологий, параметров упрочнения, скрепляющих составов и направлены на уменьшение затрат по упрочнению пород на сопряжении лав с выработками. Ниже, на примере использования дешевых модифицированных карбамидных составов, показано в какой последовательности и каким образом использовать установленные закономерности поведения массива горных пород и взаимодействующего с ним состава.

Коротко о содержании и деятельности:

выделяются зоны в массиве впереди лавы по проницаемости;

определяется место, время упрочнения;

подбирается состав;

назначается вид технологии;

подбирается оборудование;

оперативно определяются параметры расположения шпуров;

определяются параметры нагнетания.

контролируется качество упрочнения.

Методические подходы при выполнении отдельных этапов рассмотрены ниже.

Прежде всего, используя закономерности изменения проницаемости (эмпирические формулы, график) в зависимости от расстояния до лавы и в глубь массива от стенки выработки, выделяются три зоны массива: до 5 м; 5-20 м; более 20 м от лавы. Это позволяет учесть проницаемость пород для определения параметров фильтрационного потока, параметры расположения шпуров для нагнетания, конфигурацию упрочненного участка.

Во-вторых, для определения места, времени выполнения работ по упрочнению в зависимости от скорости подвигания лавы определяется время отверждения состава, по которому подбираются компоненты состава.

В-третьих, зная параметры деформации массива, подбирается скрепляющий состав с соответствующими им деформационными и прочностными свойствами.

В-четвертых, зная место работы по упрочнению, время отверждения состава, обеспечивающее выход в призабойное пространство упрочненной кровли, назначается вид технологии упрочнения: оперативное, предварительное или заблаговременное.

В-пятых, при выбранном составе подбирается оборудование для нагнетания состава в массив. Серийно выпускаемые установки "Нагус", КСН применяются для оперативного упрочнения. Для других участков (более 5 м от лавы) возможно применение простой однорастворной схемы нагнетания составов, например, из емкости с помощью сжатого воздуха от шахтной магистрали сжатого воздуха или от автономного переносного баллона.

В-шестых, оперативно определяются параметры расположения шпуров. Для этого по методу ДГМИ при бурении шпура измеряется прибором ПСЛ-2 интенсивность сейсмоакустических волн, по величине которой назначаются параметры расположения шпуров и пустотность трещиноватых пород согласно таблице 17.1 [10].

В-седьмых, определяется расход, темп и время нагнетания состава, глубина герметизации шпуров в зависимости от схемы их расположения.

И последнее, контроль качества упрочнения непосредственно после отверждения состава в массиве перед выходом упрочненной кровли в призабойное пространство осуществляется при помощи прибора ПСЛ-2 или прибором, основанным на методе истечения сжатого воздуха через шпур.

Таблица 17.1 - Параметры массива и расположения шпуров

Показатель

Параметр

Интенсивность сейсмоакустических волн, мкА

менее 150

151-200

201-300

301-500

Пустотность массива, %

0,3

0,3

0,3

0,5

Длина шпура, м

4,0

3,0

2,5

2,0

Глубина герметизации, м

1,2

0,9

0,7

0,6

Расстояние между шпурами, м: при безнишевой выемке угля при наличии ниш

 1,5

 1,3

 1,0

 1,0


3,0

2,6

2,0

2,0


Отдельные элементы методики ДГМИ используются на практике, в частности, определение проницаемости, сейсмоакустических свойств массива, параметров расположения шпуров.


ЛИТЕРАТУРА

1. Якоби О. Практика управления горным давлением: Пер. с нем. - М.: Недра, 1987. - 566 с.

2. Булычёв Н.С. Механика подземных сооружений. - М.: Недра, 1982. - 270 с., (гл. 3 §§ 8, 9, 12).

3. Методичні вказівки для виконання практичних занять з дисципліни "Геомеханічне забезпечення гірничих робіт"/Укл. М.К. Клішин, Пятаченко А.А. - Алчевськ: ДГМІ, 2003. - 8 с.

4. Орлов А.А. Классификация состояния кровли в очистных выработках // Уголь. - 1967. - №4.

. Копылов А.Ф., Назимко В.В. Механизмы деформирования надрабатываемой выработки. - Уголь Украины. - 1994. - №5. - С.10-12.

. Копылов А.Ф., Назимко В.В. Повышение устойчивости надрабатываемых выработок//Уголь Украины. -1994. -№8. -С.23-24.

. Черняев В.И. Расчёт напряжений и смещений пород при разработке свиты пластов. - Киев: Техника, 1987. - 149 с.

. Борисов А.А. Механика горных пород и массивов. - М.: Недра, 1980. - 360с.

. Альбом схем вскрытия и систем разработки пологих пластов Донбасса на больших глубинах с расположением выработок в разгруженных зонах. - М.: ИГД им. А.А. Сочинского, 1990. - 168 с.

. Клишин Н.К., Данилов А.А. Упрочнение горных пород на угольных шахтах // Материалы межд. конф. «Безопасность жизнедеятельности на пороге XXI века» (Алушта, сентябрь 1999 года). - Алчевск: ВО МАНЭБ, ДГМИ, 1999. - С. 44-47.

. Клишин Н.К., Лёвин А.А., Тоцкий А.В., Гришан Н.К. Фильтрационные свойства трещиноватого массива. //Сб. науч. тр. ДГМИ. - Алчевск: ДГМИ, 2001. - Вып. 14. - С. 114-120.

. Клишин Н.К., Склепович К.З. Исследования скрепляющих составов на основе карбамидных смол // Вестник МАНЭБ. - С.-Пб.: 2001. - № 9 (45). - С. 35-37.

. Клишин Н.К., Куленич Б.И., Герасько О.А. Напряженно-деформированное состояние кровли очистной выработки в зонах влияния выемки угля и передвижения крепи: // Сб. науч. тр. ДГМИ. - Алчевск: ДГМИ, 2001. - Вып. 14. - С. 17-25.

. Клишин Н.К., Кашперский С.А., Гришан Н.К. Исследование влияния трещиноватости массива на напряженно-деформированное состояние вокруг подготовительной выработки в зоне влияния очистных работ // Сб. науч. тр. ДГМИ. - Алчевск: ДГМИ, 2001. - Вып. 14. - С. 78-82.

. Клишин Н.К., Лёвин А.А. Исследование напряженно- деформированного состояния горных пород вокруг выработки в зоне влияния лавы // Сб. науч. тр. ДГМИ. - Алчевск: 2001. - Вып. 14. - С. 98-106.

. Клишин Н.К., Пятаченко А.А., Гришан Н.К. Определение параметров технологии упрочнения кровли в очистных забоях // Вестник МАНЭБ. - С.-Пб.: 2000. - № 2 (26). - С. 35-37.