Материал: 2988

Внимание! Если размещение файла нарушает Ваши авторские права, то обязательно сообщите нам

6

3. СОДЕРЖАНИЕ ПРАКТИКИ

Беседа

руководителя

по

практике.

Излагается

содержание

разд. 1. «Общие

положения»

и

разд. 2

«Объекты

практики и

продолжительность». Дается краткая характеристика и сведения о гидротехнических объектах ландшафтного строительства г. Воронежа, посещение которых запланировано в процессе экскурсионного обследования.

3.1. Гидроузел Воронежского водохранилища

Объекты осмотра: общее знакомство с организацией территории гидроузла Воронежского водохранилища (рис. 1). Дать краткое описание.

Необходимо отметить, что идея создания водохранилища на р. Воронеж возникла еще при Петре I в связи созданием в Воронеже военного флота. У устья р. Воронеж в 1703 г. была построена плотина с судоходным шлюзом. Остатки плотины и деревянных конструкций шлюза сохранились до 1972 года, до создания Воронежского водохранилища, и теперь скрыты под его водами. В честь основателей русского военного флота на этом месте сооружен памятник, который хорошо просматривается с Адмиралтейской площади.

Внастоящее время гидроузел Воронежского водохранилища расположен

врайоне бывшего с. Шилово в 4,6 км от впадения р. Воронеж в р. Дон. Строительство началось в январе 1969 г. Подпорная плотина перекрывает часть поймы и бывшее русло р. Воронеж. С левой стороны она примыкает к водосливной плотине, с правой – к верхней головке шлюза, расположенного у правого склона речной долины.

Водохранилище построено для комплексного использования: для водоснабжения промышленных предприятий г. Воронежа, орошения пригородных сельскохозяйственных земель, пополнения запасов подземных вод, на которых базируется хозяйственно-питьевое водоснабжение города. Категория водопользования – рыбохозяйственный водоем (I категория).

Плотина намывная сооружена из местного намывного грунта. Ее длина 1150 м, ширина по гребню – 10 м, отметка гребня 96,5 м. Наибольшая высота – 12,5 м, средняя – 10 м, заложение откосов 1:3. Верхний откос плотины закреплен железобетонными плитами толщиной 0,2 м, низовой каменной

7

наброской. Кривая подпора уровня воды в р. Воронеж составляет порядка 35 км, достигает с. Чертовицы Рамонского района. Глубина воды в районе санатория им. М. Горького 2,0 м, у Чернавского моста 5 м, у плотины 7,8 м. Средняя ширина водохранилища – 2 км, площадь зеркала воды при НПГ – 70 км2. Объем воды в чаше водохранилища – 204 млн м3.

Водосбросная железобетонная плотина (рис. 2) устроена в виде водослива с широким порогом на уровне поймы. Ширина водосливного фронта – 168 м. Водосливной фронт разбит 13 бычками на 14 пролетов по 12 м шириной. Отверстия перекрываются плоскими подъемными щитками размером 12 × 6 м. Пропускная способность водосброса при НПУ на отметке 93,0 м абс. составляет 2010 м3/с при форсированном уровне 95,2 м. абс. – 4430 м3/с.

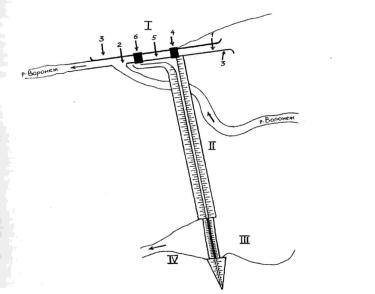
Рис. 1. Схема гидроузла Воронежского водохранилища:

I – судоходный шлюз; II – подпорная плотина; III – водосливная плотина; IV – водоотводный канал; 1 – верхний подходный канал шлюза; 2 – нижний подходный канал; 3 – причально-направляющие сооружения; 4 – верхняя голова шлюза; 5 – шлюзовая камера; 6 – нижняя голова шлюза.

8

Рис. 2. Водосливная плотина Воронежского гидроузла

3.2. Набережная Воронежского водохранилища

Водохранилище имеет немаловажное рекреационное значение. На его берегах созданы благоустроенные набережные с декоративной металлической оградой. Появились благоприятные условия для развития гребного и парусного флота, тысячи горожан участвуют в спортивном и любительском подледном лове рыбы.

Водохранилище преобразило внешний вид города, хорошо вписалось в его ландшафт и служит декоративной основой для различных архитектурнопланировочных решений. Новые жилые массивы композиционно связаны с акваторией водохранилища и раскрыты на его набережные. На Петровской набережной и Адмиралтейской площади, непосредственно примыкающей к водохранилищу, в дни всенародных праздников и торжеств устраиваются массовые гулянья, на открытых эстрадах выступают артисты и коллективы художественной самодеятельности. Особое эмоциональное впечатление горожан создают праздничные салюты и фейерверки.

При экскурсионном осмотре набережной водохранилища студентам необходимо уяснить, что набережные – это объемно-планировочные комплексы у водоемов, занимающие значительные городские территории. Они непосредственно связаны с городской застройкой и акваторией.

9

При знакомстве с набережной Воронежского водохранилища студент должен самостоятельно выделить и сделать краткое описание архитектурноландшафтных комплексов набережной, к которым относятся:

-гидротехнические сооружения у воды с элементами прибрежной акватории;

-террасы набережной от линии до красной линии застройки или до берегового склона;

-сооружения на террасах набережной и на воде;

-благоустройство и элементы инженерного оборудования.

По результатам такого рекогносцировочного обследования студентами выполняется абрис набережной водохранилища, по возможности сопровождающийся фотографиями.

Наиболее ответственным компонентом набережной являются гидротехнические сооружения у воды и, прежде всего, гидротехнические подпорные стенки, которые определяют фасад набережной с реки. При этом профиль таких стенок может быть: откосым, полуоткосым, вертикальным (дать короткое описание):

-сооружения на террасах – наземные, на воде и подземные;

-благоустройство и элементы инженерного оборудования – это видовые площадки, беседки, сходы для террас, торговые павильоны, стенды наглядной агитации и т.д. (дать краткое описание).

Установить классификацию набережной Воронежского водохранилища по направлениям: конструкционное, гидротехническое, строительное, функциональное, градостроительное и историческое.

1.Конструкционное направление – дифференцирует набережные: с вертикальной гидротехнической стенкой, откосные набережные, полуоткосные набережные, камненабросные набережные.

2.Гидротехническое направление – с позиции гидротехнического режима водоема: затопляемые и незатопляемые.

3.Строительное направление – исходят из специфики производства строительно-монтажных работ при их создании. Различают: одноярусные, двухъярусные и многоярусные.

4.Функциональное направление – выделяют: зоны отдыха, пешеходные, транспортные, жилой и общественной застройки, промышленные,

10

пригородные. При многофункциональном использовании она относится к преобладающей функции. Зонирование по длине предусматривает возможность сквозного проезда и перехода по ней. Учитывая сплошные системы набережных, выделяют: линейные, точечные, фигурные.

5. Градостроительное направление – подразделяют на центральные, периферийные, парковые, портовые.

3.3. Парки, скверы, фонтаны г. Воронежа

Одним из обязательных условий создания парка или сквера является обеспечение качественного полива произрастающих древесных и кустарниковых пород, газонов, цветников.

Даже на небольшом участке невозможно обеспечить достаточный и равномерный полив из шланга, к тому же при таком орошении на поверхности почвы образуется плотная корка, затрудняющая дыхание корневой системы растений. Современные системы и устройства автоматизированного дождевого полива позволяют: вовремя и качественно оросить газон или цветник в парке, древесные насаждения, при этом сэкономить воду и обеспечить равномерный полив заданными поливными нормами воды. Регулярный полив на современном уровне требований в парке можно осуществить устройством оросительной системы, состоящей из напорной водопроводной сети и набора дождевателей.

При обследовании парка или сквера студентам необходимо обратить внимание на технологию полива растений: увлажнительное, обводнительное, удобрительное. Способ орошения: поверхностное самотечное, дождевание, внутрипочвенное, капельное, мелкодисперсное. Конструкции применяющих дождевателей: осцелирующие (раскачивающие) дождеватели, импульсные дождеватели – «выстреливают» поливную воду из сопла с небольшими интервалами, дождеватели кругового действия, многофункциональные разбрызгиватели в виде поливочного пистолета.

Установить площадь орошаемой территории дождевателем, дальность отлета, тип и форму струи: аэрированная струя, жесткая струя, плоская струя, глубину промачивания.